La Barra, La Barra. Apto Bloques Bajos. 2723 M2

U$S 680,000

~54,500,000 ₽ / U$S 250/m2

Площадь, м²

2723

Тип

Земля

более

1 недели назад

Просмотры

19

Terreno En La Barra. Apto Bloques Bajos. 2723 M2

Ubicado en Barraverde, en la zona más cercana a l mar del fraccionamiento.A solo 180 mts del Ex Hotel Casino Mantra y a 800 mts de la playa Montoya.
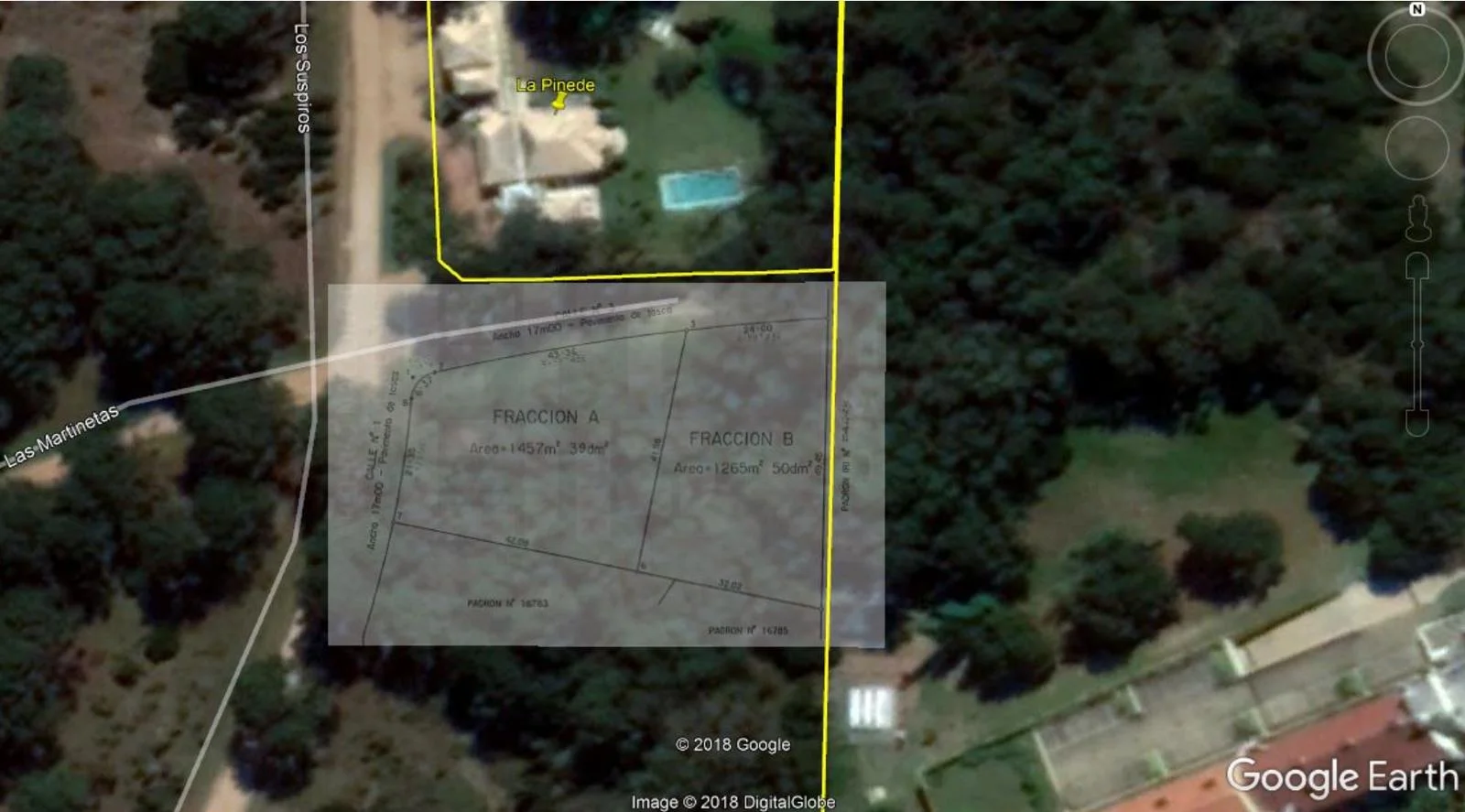
Son dos padrones que totalizan 2.723 M 2 con más de 67 mts de frente al Norte.
Servicios disponibles: agua corriente, luz y teléfono (los dos últimos subterráneos).
Aplica para desarrollar bloques bajos según la Normativa de Edificación: se permiten
bloques bajos de hasta 9 mts de altura y unidades locativas aisladas o apareadas.

CLA7833277

Характеристики

ID

Тип

Площадь, м²

1434214

Продажа

2723

Земля, м²

Ссылка

Обновлено

27232

X404CE

2026-03-10

Дополнительные действия

CASAGRANDE
+59897434951
Похожие объекты
Загрузка...
Зарабатывайте деньги привлекая коллег!

Приглашайте других агентов по недвижимости и получайте 10% комиссии с каждого их продвижения.