, Sobre Calle Con Luz A 200 Metros Del Mar 0

U$S 33,000

U$S 43/m2

Banheiros

1

M² construído

765

Tipo de propriedade

Terra

Publicado

5 dias

Visualizações

22

Terreno En San Antonio, Entrega 10 Mil Y Finacia

Corredor Responsable: -
Contacto: Gustavo Sosa De Armas
PRECIO TOTAL 33.000 MIL DÓLARES.

POSIBILIAD DE ENTREGAR 10 MIL O MÁS Y FINANCIAR EL RESTO EN COMODAS CUOTAS.

Lote baldío en el balneario San Antonio, a 200 metros aproximadamente de la costa y a unos 2.000 metros de la ruta número 10. Se encuentra en un lugar único, mágico y totalmente virgen, donde se logra el contacto con la naturaleza .

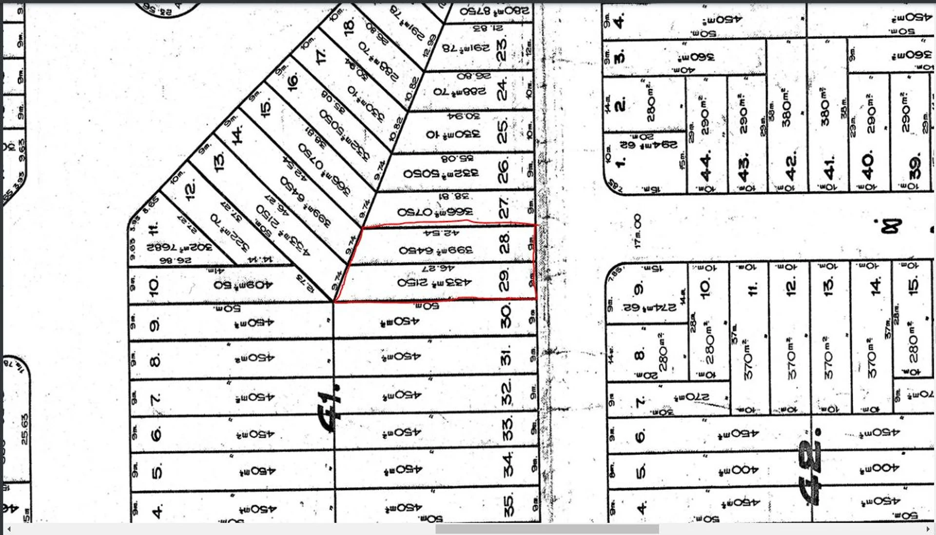
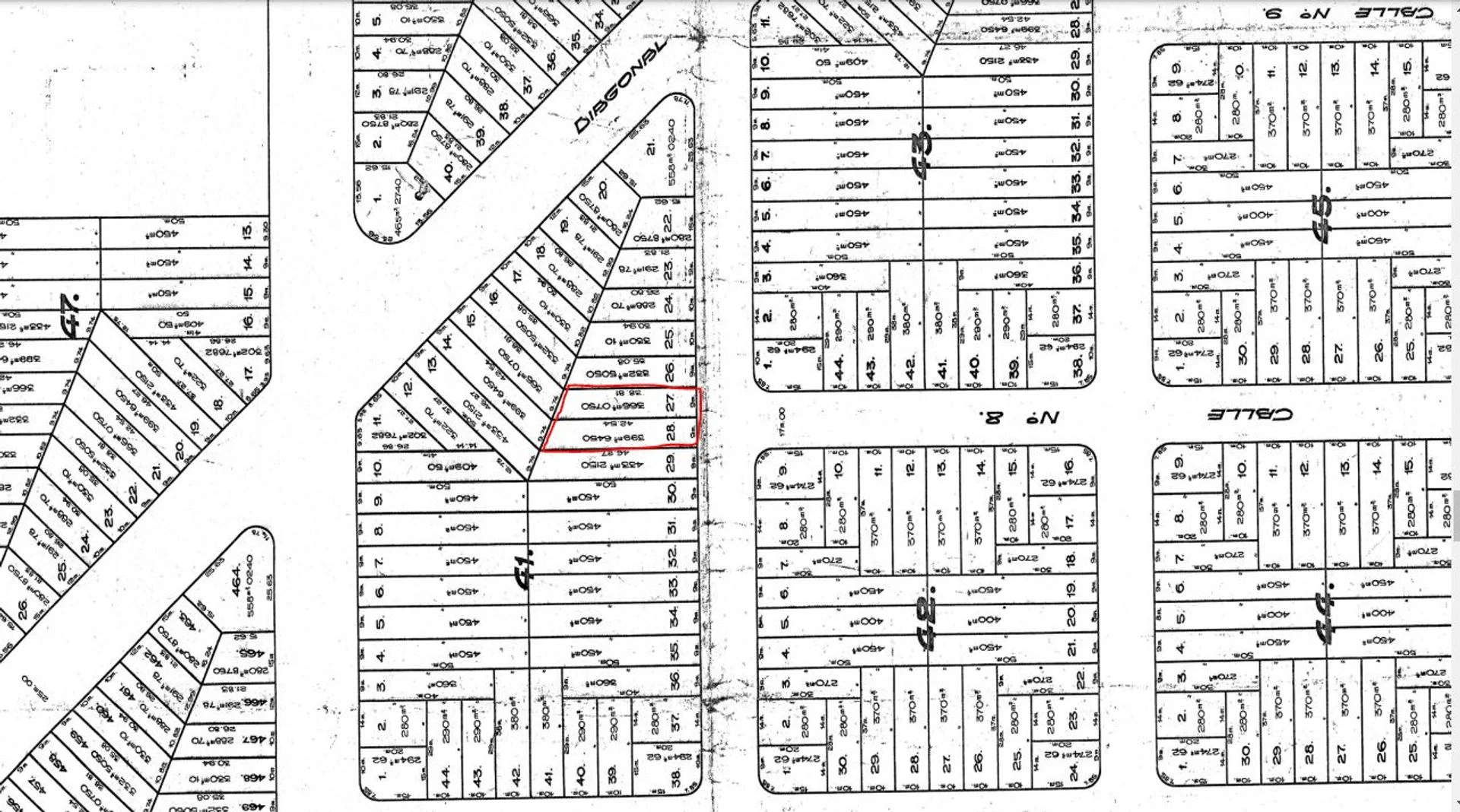
Padrón 58.387, área 765 metros cuadrados, carpeta catastral número 47 y manzana 41. Formado por la fusión de los solares 27 y 28, con 18 metros de frente por 50 de fondo aproximadamente. Es un lote que posee línea de UTE por enfrente.

La calle que pasa por enfrente se encuentra en muy buenas condiciones, es una de las principales avenida de acceso al balneario y además enfrente se encuentra calle que se dirige hacía el mar.

Para la edificación, ordenamiento Territorial de la Intendencia Municipal de Rocha está solicitando por lo menos 800 m2 de terreno para edificar, aunque este lote tiene un poco menos, averiguando en el referido ente, está diferencia de m2 no molestaría para permitir la edificación regularizada.

Es un terreno ubicado en una zona tranquila, muy cercano al mar. Terreno ideal para familias que quieran mudarse a San Antonio, o edificar una casa solo para vacacionar. Inversores que quieran instalar un negocio en el balneario, cabañas para alquilar en temporada, etc.

Zonificación del balneario
A los efectos de la aplicación de las disposiciones de uso y edificabilidad se establecen las siguientes zonas:
A. Área de Protección Costera.
B. Área de Transición.
C. Área de Desarrollo Urbano.

C. Área de Desarrollo Urbano:
Comprende todas las manzanas restantes del fraccionamiento que no pertenecen a las zonas A y B.
Usos admitidos:
Se autoriza el uso residencial de unidades aisladas o conjuntos turísticos, hoteles, apart hoteles u hostales y de restaurantes y servicios afines, compatibles con el uso residencial.
Los volúmenes construidos no podrán tener más de 15 m de longitud y la distancia mínima entre ellos será de 10 m, en su proyección en un plano paralelo a la costa.

Área mínima de predio para edificar: 800 m2
La construcción de pérgolas, decks, piscinas y pavimentos de cualquier tipo, no se computará como FOS y podrá ocupar un área máxima equivalente al 50% del FOS admitido.

FOS: 35%

FOT: 70%

Retiros bilaterales: En caso de tener 18 metros de frente o menos, los retiros serán de 1 metros y de 3 metros, en caso de ser mayores a 18 metros de frente, serán 3 metros para cada lado

Retiro frontal: 4 m

Retiro posterior: 20% del largo del terreno.
Frente mínimo del predio: 18 m

Altura máxima: 7 m (planta baja y una planta alta). En caso de terrenos cuyo nivel sea inferior al nivel de la calle, la altura se considerará a partir del nivel de calle previsto. En caso de terrenos cuyo nivel natural sea superior al nivel de calle, la altura se considerará a partir del nivel natural del sector de terreno donde se proyectan las construcciones.

Ocupación de Retiros Laterales: Podrán ocuparse parcialmente los retiros laterales (hasta 18 m2 cada uno) para la construcción de pérgolas, sombras o cocheras abiertas. Esas construcciones serán con cubiertas livianas y no podrán tener cerramientos verticales.
Ocupación de Retiros Posteriores: En caso de construcción de barbacoas, garajes o construcciones accesorias similares cerradas, las mismas podrán ocupar parcialmente el retiro de fondo, cumpliendo con las siguientes condiciones:
a. Superficie máxima edificada en el retiro de fondo 30 m2
b. No ocupar los retiros laterales.
c. Altura máxima: 3 m.

Usos del Suelo: En la zona C se admitirán los usos residenciales, gastronómicos, recreativos y comerciales para abastecimiento diario (panaderías, almacenes, carnicerías, farmacias, verdulerías, boutiques, venta de artesanías, papelerías, quioscos, bazares y programas de características similares). No se admitirán áreas de camping ni locales nocturnos para bailes.


Cada Oficina es de propiedad, gestión y desarrollo independiente
La presente publicación describe las características esenciales del inmueble, debiéndose consultar al responsable de la operación por la eventual actualización de las medidas, descripciones arquitectónicas y funcionales, servicios, impuestos, precios y demás información, cuyos valores son aproximados.

Detalhes da propriedade

ID

Tipo de propriedade

Tipo de operação

M² da terra

1345990

Terra

Oferta

7652

Banheiros

Referência

Atualizada

1

P53214

2025-12-10

Localização

33к U$S

Localização

Rocha

Endereço

, Sobre Calle Con Luz A 200 Metros Del Mar 0

Ações Adicionais

RE/MAX
099001901
Objeto similar
Carregando...
Ganhe dinheiro indicando colegas!

Convide outros corretores de imóveis e ganhe 10% de comissão por cada promoção que fizerem.